Bekanntmachung
- Aufstellungsbeschluss gemäß § 2 Abs. 1 BauGB -
- Frühzeitige Öffentlichkeitsbeteiligung gemäß § 3 Abs. 1 BauGB -
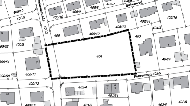
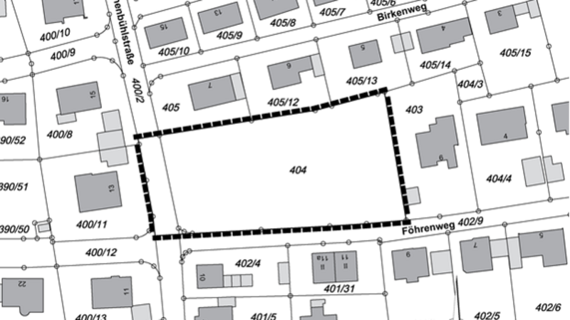
Der Gemeinderat der Gemeinde Gundelsheuim hat in seiner Sitzung am 16.03.2022 gemäß (gem.) § 2 Abs 1 BauGB (Baugesetzbuch die Einleitung des Verfahrens zur 4. Änderung des Bebauungs- und Grünordnungsplanes (BBP/GOP) mit der Bezeichnung "Rothenbühl" beschlossen.
Downloads (PDF):






